Đối tác Topland cần chuyển nhượng GẤP nhà máy sản xuất bao bì AD và giấy xuất khẩu tại Hải Phòng
Cơ hội hiếm có cho nhà đầu tư và doanh nghiệp muốn mua nhà xưởng tại Hải Phòng
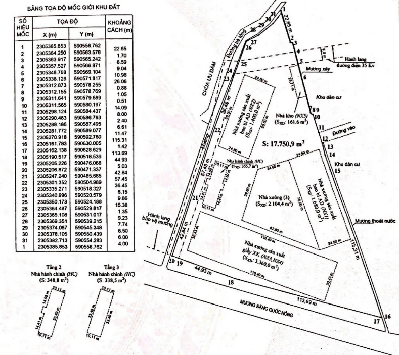
1. Thông tin nhà máy
- Địa chỉ: Thái Hưng, An Dương, thành phố Hải Phòng
- Diện tích: 17.590 m² (Bằng chữ: mười bảy nghìn, năm trăm chín mươi mét vuông)
- Hình thức sử dụng: Sử dụng riêng
- Mục đích sử dụng: Đất cơ sở SXKD sản xuất bao bì AD và giấy xuất khẩu
- Thời hạn sử dụng: Đến ngày 09/5/2043
- Nguồn gốc sử dụng: Nhà nước cho thuê đất trả tiền một lần
- Giá chuyển nhượng: 70 tỷ
Nhà máy tại Hải Phòng
2. Cơ sở hạ tầng
Hiện trạng khu đất gồm các công trình sau:
Nhà hành chính (HC)
- Diện tích xây dựng: 355,7 m²
- Diện tích sàn (kể cả ban công): 1.043,0 m²
Nhà sản xuất kinh doanh (NX2)
- Diện tích xây dựng: 1.680,0 m²
- Diện tích sàn: 1.680,0 m²
Nhà sản xuất kinh doanh (NX4)
- Diện tích xây dựng: 1.400,0 m²
- Diện tích sàn: 1.400,0 m²
Nhà kho (NK5)
- Diện tích xây dựng: 3.500,0 m²
- Diện tích sàn: 3.500,0 m²
Nhà xưởng (NX3)
- Diện tích xây dựng: 161,6 m²
- Diện tích sàn: 161,6 m²
Nhà xưởng (3)
- Diện tích xây dựng: 2.104,4 m²
- Diện tích sàn: 2.104,4 m²

Cơ sở hạ tầng
3. Chính sách ưu đãi đầu tư và lợi thế
- Đất đã trả tiền thuế 1 lần
- Có sẵn lực lượng lao động kỹ thuật cao, chi phí nhân công tối ưu so với các đô thị lớn.
- Hỗ trợ thủ tục pháp lý nhanh gọn
- Vị trí chiến lược: Gần cảng biển lớn nhất miền Bắc (Hải Phòng), thuận tiện logistics, giảm mạnh chi phí vận chuyển quốc tế. Kết nối nhanh tới cao tốc Hà Nội – Hải Phòng – Quảng Ninh và sân bay Cát Bi.
------------------------------------------------
Dịch vụ của chúng tôi
Để hỗ trợ các nhà đầu tư và đối tác trong, ngoài nước, TOP LAND sẵn sàng cung cấp các dịch vụ xúc tiến đầu tư MIỄN PHÍ như:
- Tư vấn lựa chọn địa điểm đầu tư (Trên phạm vi toàn Việt Nam);
- Tư vấn Tài chính và Nguồn vốn doanh nghiệp;
- Tư vấn tái cấu trúc và mua bán sáp nhập doanh nghiệp (M&A);
- Tư vấn thiết kế công trình công nghiệp;
- Tư vấn giải pháp Công nghệ và xử lý môi trường;
- Tư vấn Pháp lý doanh nghiệp
Liên hệ:
Hotline: +84 913.040.789 - Di động: +84 913.040.789 (Mr.Tùng)
Địa chỉ: Số B6 Lô 2A KĐT 97 Bạch Đằng, Hạ Lý, Hồng Bàng, Hải Phòng
Website: www.sanbdscongnghiep.vn
- Từ khóa: Bán nhà máy gần 1,8ha Hải Phòng – Nhà xưởng sẵn sàng sản xuất – Giá tốt cho nhà đầu tư; Bán nhà xưởng công nghiệp Hải Phòng – Chuyên sản xuất bao bì & giấy xuất khẩu; Nhà máy bán gấp 1,8ha tại Hải Phòng – Hạ tầng hoàn chỉnh – Gần cảng biển; Bán nhà máy công nghiệp Hải Phòng – Diện tích lớn – Phù hợp DN FDI;...